
Jakarta, domclub Indonesia
—
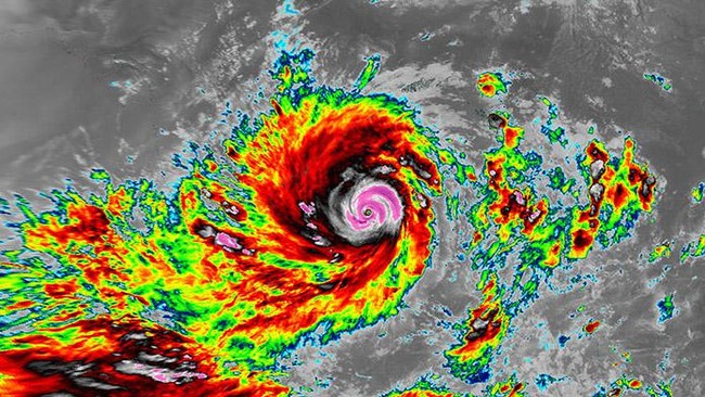
The Meteorology, Climatology and Geophysics Agency (BMKG) revealed that currently there are two tropical cyclone seeds surrounding Indonesia.Check out the impact.
BMKG explained that the two tropical cyclone seeds were 95B and 92W.These two tropical cyclone seeds have the potential to increase rainfall in a number of regions in Indonesia.
ADVERTISEMENT
SCROLL TO CONTINUE WITH CONTENT
Therefore, people in the northern part of Indonesia are advised to be alert to the increase in rain intensity caused by these two tropical cyclone seeds.
“The increase in rain intensity is influenced by various atmospheric phenomena, both on a global, regional and local scale. One of the influencing factors is the presence of two tropical cyclone seeds that formed around the northern region of Indonesia which also influenced the intensity of rain in the surrounding area,” wrote BMKG in its Weekly Weather Outlook for the Period 25 November-1 December.
BMKG estimates that Tropical Cyclone Seed 95B is in the Malacca Strait, east of Aceh, with intensity that tends to be stable and the circulation pattern is still widening as it moves towards the Andaman Sea, north of Aceh.
The presence of these cyclone seeds is expected to have an indirect impact on the potential for moderate to heavy intensity rain, accompanied by strong winds in the Aceh and North Sumatra regions.Then, high waves of up to 4 meters also have the potential to occur in the central part of the Malacca Strait, the eastern waters of North Sumatra and the waters of Riau.
Meanwhile, Tropical Cyclone Seed 92W is estimated to be active in the Philippine Sea north of Southwest Papua, with intensity tending to be stable and expected to increase in the next few days, along with its movement northwest towards the West Philippine Sea.
The presence of this tropical cyclone seed is expected to have an indirect impact on the potential for moderate to heavy intensity rain which could be accompanied by strong winds in the Sangihe Islands to the Talaud Islands, the Maluku Sea, the waters north and east of Halmahera, the waters north of Southwest Papua to Papua, and the Pacific Ocean north of Maluku to Papua.
Previously, Tropical Cyclone FINA had a weather impact on a number of regions in the country.Now, the tropical cyclone is estimated to be in the Timor Sea in waters southwest of Darwin, with its intensity expected to decrease as it moves further away from Indonesian territory.
However, the impact of high waves of up to 2.5 meters still has the potential to occur in the southern waters of the Leti Islands to the Tanimbar Islands, the western part of the Arafuru Sea around East Nusa Tenggara in the next 24 hours.
Apart from tropical cyclone seeds, several other atmospheric dynamics will influence the weather in Indonesia.The Indian Ocean Dipole (IOD), which is currently negative, has a significant impact on increasing rainfall intensity in western Indonesia.
Then, atmospheric waves were observed to be active in most parts of Indonesia, supported by high air humidity, and relatively unstable atmospheric conditions which also triggered the significant weather that occurred in the last few days.
(lom/dmi)
[Gambas:domclub Video]
Read More: List of Korean Artist Couples Married after a Decade of Dating
Read More: Lion City vs Persib: Determination after Maung Bandung Never Lost



